Mỹ cảnh báo siêu bão mạnh nhất 2015 gây "sóng tử thần"

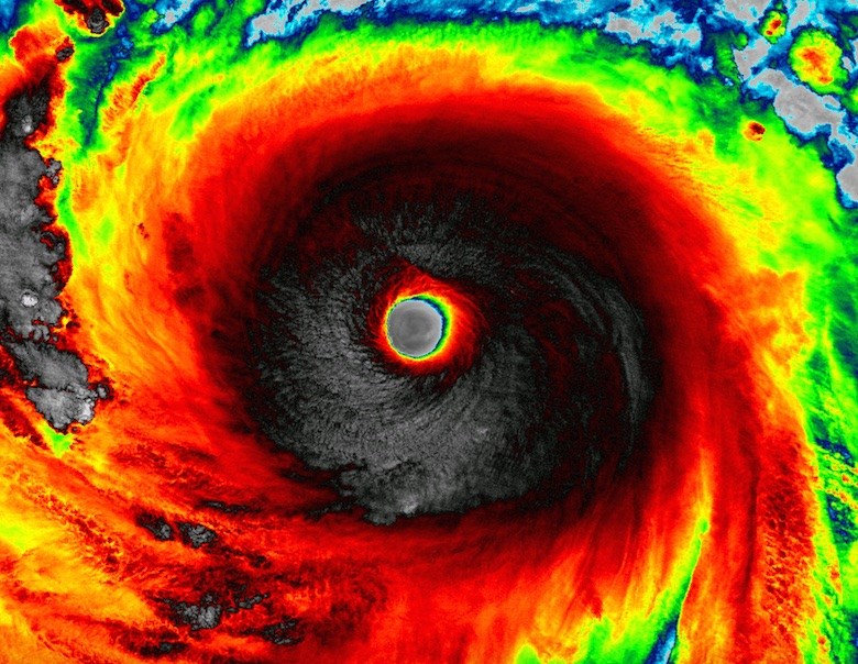
Cảnh báo của NASA được đưa ra trong bối cảnh, siêu bão Soudelor đang trên đường đổ bộ vào bán đảo Đài Loan. Theo Trung tâm Cảnh báo Bão chung, Soudelor đang di chuyển với sức gió trung bình 241km/h nhưng có thời điểm, sức gió đạt tới 296km/h.
Dự kiến, Soudelor sẽ ảnh hưởng trực tiếp lên hòn đảo xa Ishigaki của Nhật Bản trước khi đổ bộ vào Đài Loan vào ngày thứ Sáu (7.8).
NASA cảnh báo, "quái vật" Soudelor sẽ gây ra "những cơn giông lốc mạnh kinh hoàng cũng như những con sóng "tử thần".
"Siêu bão này sẽ làm biển động dữ dội, với những con sóng có chiều cao tối đa lên tới 14,6 m", NASA cho biết.
Hình ảnh cột điện đổ, ô tô bị lật ngược, cây cối bị giật đổ nằm lăn lóc trên đường mô tả sức hủy diệt kinh hoàng của "quái vật" Soudelor ở Saipan, thủ phủ của quần đảo Bắc Mariana, thuộc Mỹ khi nó đổ vào khu vực vào ngày 2.8
Theo đó, NASA cảnh báo, chính quyền và người dân những khu vực nằm trên đường đi của Soudelor nên khẩn trương chuẩn bị phòng chống giông lốc, mưa lớn, lở đất, đặc biệt là ở những vùng có địa hình cao.
Cường độ của Soudelor được cho là mạnh hơn cả Pam, cơn bão từng được xem là mạnh nhất năm 2015, làm ít nhất 15 người chết ở đảo quốc Vanuatu, tây nam Thái Bình Dương, cách đây 5 tháng.
"Quái vật" Soudelor phát triển thành cơn bão mạnh nhất trái đất trong năm nay sau khi đổ bộ vào quần đảo Bắc Mariana của Mỹ ở tây Thái Bình Dương. Nó được xếp vào loại bão mạnh cấp 5, cấp cao nhất và đang tiến thẳng vào Đài Loan, Trung Quốc, Nhật Bản.
Trước đó, vào cuối ngày 2.8, Soudelor đã đổ bộ vào quần đảo Bắc Mariana của Mỹ ở tây Thái Bình Dương, gây thiệt hại nặng nề trên diện rộng, trong đó nhiều cơ sở hạ tầng, đường xá bị phá hủy, giao thông nhiều nơi tê liệt và khiến các nhà chức trách phải tuyên bố tình trạng khẩn cấp.
"Sau đó, siêu bão này được dự đoán sẽ yếu dần và di chuyển theo hướng tây - tây bắc", theo NASA.
Mỹ cảnh báo siêu bão mạnh nhất 2015 gây "sóng tử thần".
Skcs.vn (Theo Dân Việt)
Các tin khác
-
Toàn văn Nghị định 178/2024/NĐ-CP chính sách với CBCCVC, lực lượng vũ trang khi sắp xếp bộ máy
Chi tiết Nghị định 178/2024/NĐ-CP ngày 31/12/2024 của Chính phủ về chính sách, chế độ đối với cán bộ, công chức, viên chức, người lao động và lực lượng vũ trang trong thực hiện sắp xếp tổ chức bộ máy của hệ thống chính trị -
Bảng Tra cứu TUỔI NGHỈ HƯU và THỜI ĐIỂM NGHỈ HƯU theo luật lao động mới từ 2025
Từ 7/1 năm 2025, người lao động trong điều kiện lao động bình thường sẽ có độ tuổi nghỉ hưu đối với lao động nam và lao động nữ sẽ như thế nào theo luật lao động mới áp dụng. -
Tối ưu nguồn năng lượng để bảo vệ môi trường
Với tốc độ phát triển chung trên thế giới hiện nay, nhu cầu về năng lượng là rất lớn, rất quan trọng. Nhưng việc khai thác, sử dụng và biến đổi năng lượng cũng là một yêu tố tác động xấu đến môi trường. -
Điều kiện, giấy tờ cần có để lên máy bay từ ngày 10/10
Sau khi bàn bạc thống nhất các phương án, Bộ GTVT đã ban hành Quyết định số 1776/QĐ-BGTVT về quy định tạm thời triển khai các đường bay nội địa chở hành khách thường lệ đảm bảo thích ứng an toàn, linh hoạt, kiểm soát hiệu quả dịch Covid-19 hạn chế lây lan. -
Hà Nội cho phép thể dục ngoài trời, mở cửa trung tâm thương mại, thời trang, hóa mỹ phẩm
Từ ngày 28/9, UBND Hà Nội cho phép người dân thể dục, thể thao ngoài trời nhưng không được tập trung quá 10 người. Trung tâm thương mại (các cửa hàng ăn uống chỉ được phép bán mang về) và cửa hàng may mặc, thời trang, hóa mỹ phẩm cũng được mở cửa. -
Quy trình cấp giấy đi đường tại Hà Nội từ ngày 6/9 theo hướng dẫn của Công An Tp Hà Nội
Từ ngày 6/9 tại Hà Nội, có 6 nhóm đối tượng được cấp giấy đi đường tại "vùng đỏ", là nơi tiếp tục áp dụng Chỉ thị 16 của Thủ tướng. -
Danh sách số điện thoại hỗ trợ nhu yếu phẩm tại TP.HCM
Những người lao động có hoàn cản khó khăn cần hỗ trợ về các nhu yếu phẩm thiết yếu có thể liên hệ tới các số điện thoại các Trung tâm an sinh tại Thành phố Hồ Chí Minh -
Sự khác nhau giữa Chỉ thị 15, Chỉ thị 16 của Thủ tướng, Chỉ thị 10 của TP Hồ Chí Minh trong dịch COVID-19
Sự khác nhau giữa Chỉ thị 15 và Chỉ thị 16 của Thủ tướng Chính phủ về các biện pháp phòng, chống dịch COVID-19 như thế nào? -
Khủng khiếp: Đồ chơi LEGO có thể tồn tại 1.300 năm dưới đại dương
Nghiên cứu, được công bố trên Tạp chí Ô nhiễm môi trường vào ngày 29/2/2020, tập trung vào những viên nhựa của bộ đồ chơi LEGO trôi dạt vào bờ biển phía Tây Nam nước Anh. -
Quản lý và xử lý chất thải rắn
Xử lý rác thải phổ biến ở Việt Nam hiện nay có một số mô hình: đốt rác phát điện, xử lý chất thải rắn sinh hoạt thành phân vi sinh, chôn lấp, điện khí hóa và đốt rác thông thường.
